Spektakulär parasitstekel hittad i Sverige för första gången

Parasitstekeln Lymantrichneumon disparis är en spännande art som inte tidigare noterats i Sverige. Men när SLU-studenten Tore Dahlberg samlade in stockar från områden runt om Uppsala så var det en av arterna som kröp fram. Den artbestämdes av stekelexperten Niklas Johansson på SLU Artdatabanken. Parasitstekeln lever stor del av sitt liv högt upp i träden och lägger sina ägg i larver från nunnefjärilar som sedan blir uppätna inifrån.
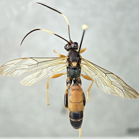
Lymantrichneumon disparis är en storväxt art på uppemot 20 mm. Kroppen är vanligtvis mer eller mindre orange, men den här noterade honan är betydligt mörkare, möjligen som ett resultat av den nordliga fyndplatsen. Just den ljusa färgen speglar troligen att arten är delvis nattaktiv, liksom de larver som de parasiterar på. Lymantrichneumon rapporterades från Finland 1999 och från Storbritannien så sent som 2013.
– Fyndet kan möjligen indikera en långsam expansion norrut. Kanske genom förändrat klimat. Det är inte omöjligt att det är en invandring österifrån i detta fall, säger Niklas Johansson.
Å andra sidan kan det inte uteslutas att arten funnits i landet under lång tid. Lymantrichneumon tillbringar troligen en stor del av sin tid i trädtopparna på jakt efter larver, så den är inte lätt att få syn på. Intresset för parasitsteklar har också varit förhållandevis lågt bland entomologer.
Parasiterar på barrskogsnunna
Lymantrichneumon disparis parasiterar på fjärilarna barr- och lövskogsnunna. Troligen är det den förstnämnda som utgör värd i detta fall. Stekelhonan jagar rätt på de aktiva, nästan vuxna larverna och placerar med sitt vassa äggläggningsrör ett ägg i dessa. I samband med äggläggningen injicerar honan ämnen som undertrycker larvens immunrespons och parasitstekelns larv äter sedan vidare inuti den ännu levande och växande fjärilslarven. När fjärilslarven förpuppas dödar parasitens larv värden och kläcks sedan ur fjärilspuppan.
Både barr- och lövskogsnunna kan kaläta skog och ibland bli ett problem för skogsbruket. Stekeln kan därmed bidra till att hålla antalet fjärilslarver under de antal som ger kalätning – och är potentiellt en viktig allierad vid biologisk bekämpning av fjärilslarverna. Parasitstekelns utbredning omfattar hela Palaearktis från Europa genom Ryssland och Kina bort till Korea och Japan och den är vanlig på många håll i Central och Sydeuropa.
Det intressanta fyndet dök upp i samband med ett studentarbete på institutionen för ekologi. Tore Dahlberg har samlat in bitar från gran- och tallstockar med olika svamparter till sitt projekt. Sedan har han kläckt fram de insekter som fanns i stockarna. Den här kommer från en tallstock med timmerticka i Almunge-trakten.
– Lymantrichneumon disparis är egentligen bifångst i mitt projekt och är inte knuten till timmertickan. Stekeln har använt den ruttna tallstocken som övervintringsplats, säger Tore Dahlberg.
Stjärtfluga första Norden-fynd
Han har också stött på en del andra spännande insekter bland de över 100 arter han hittat i stockarna. Till exempel Lonchaea stelviana eller stjärtfluga. Den artbestämdes av insektsexperten Sven Hellqvist.
– Den beskrevs så sent som 2016 från italienska alperna och hittades för första gången i Norden nu. Det finns många arter i släktet Lonchaea och larverna till de flesta av dem utvecklas i död ved, säger Mats Jonsell, forskare i skogsentomologi på institutionen för ekologi.
Fyndet gjordes i en bit av en tallåga angripen av citronticka norr om Sandviken i Gästrikland.
En annan art var tallsvampmalen som tidigare bara hittats på Gotska sandön, på ett ställe i Lettland och ett i Österrike. Den kläckte Tore Dahlberg fram ur en tallstock med citronticka.
Tore Dahlberg
Hur känns det att hitta så många sällsynta arter?
– Det är roligt att kunna bidra till att vi lär oss mer om dessa arter. Arbetet visar att många artgrupper fortfarande är dåligt undersökta och att vi har dålig koll på vilka arter som på olika sätt är knutna till våra vanligaste trädslag och deras vedsvampar, säger Tore Dahlberg.
Kontakt
Tore Dahlberg tore.g.dahlberg@gmail.com
Niklas Johansson niklas.johansson@slu.se 018-673410
Mats Jonsell mats.jonsell@slu.se 018-672876